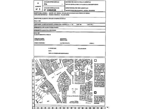
Palazzo Ginesi
costruzione originaria
Tipo:
image; palazzo
Tipo di scheda: Architettura
Categoria:
Abitazioni
Autore:
Ambito culturale: maestranze locali - motivazione dell'attribuzione: (n.d.c.)
intero bene:impianto del sec.XIII.
Formato:
Edificio a pianta di forma quadrangolare; pareti in muratura disomogenea di pietra locale; solai a travi lignee; tetto ad una falda con struttura a travi in legno e manto in coppi.
Data di creazione:
XIII
Ambito geografico:
Cingoli (MC); Via Giuseppe Mazzini, 7/ 9(P)
Condizioni d'uso della risorsa digitale:
![]()
Quest'opera di Regione Marche è distribuita con Licenza Diritti riservati.
Oggetti digitali
Riferimenti
È riferito da:
Documentazione fotografica: 1 (SBAA AN 68076)
2 (SBAA AN 68077)
3 (SBAA AN 68078)
Fonte dati
Regione Marche / Beni Architettonici
Identificatore:
Codice univoco ICCD: 1100049188
Diritti
Diritti: proprietà privata
Condizioni d’uso del metadato: Pubblico dominio
