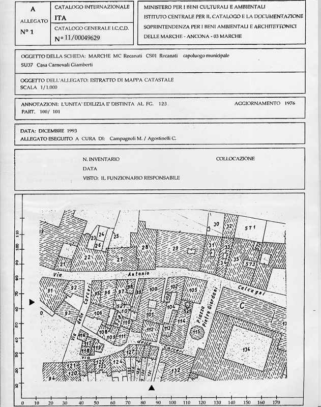
Casa Carnevali Giamberti
Casa dei Ceccolini
impianto
carattere generale
restauro
Tipo:
image; casa
Tipo di scheda: Architettura
Categoria:
Abitazioni
Autore:
Ambito culturale: maestranze locali - motivazione dell'attribuzione: B 00000495
intero bene:edificio risalente al XVI secolo, di cui resta il portale interno
intero bene:appartenuta ai conti Galamini dall'inizio dell'800
intero bene:restauro rilevabile anche in facciata di inizio del '900
Data di creazione:
XVI; XIX; XX
Ambito geografico:
Recanati (MC); Via Antonio Calcagni, 22, 24(P), 26
Condizioni d'uso della risorsa digitale:
![]()
Quest'opera di Regione Marche è distribuita con Licenza Diritti riservati.
Oggetti digitali
Riferimenti
È riferito da:
Documentazione fotografica: 2 (SBAA AN 71407)
3 (SBAA AN 71408)
Fonte dati
Regione Marche / Beni Architettonici
Identificatore:
Codice univoco ICCD: 1100049629
Diritti
Diritti: proprietà privata
Condizioni d’uso del metadato: Pubblico dominio
