Palazzo Scatolari
costruzione
Tipo:
image; palazzo
Tipo di scheda: Architettura
Categoria:
Abitazioni
Autore:
Ambito culturale: maestranze locali
intero bene:
Data di creazione:
XVII - XVIII
Ambito geografico:
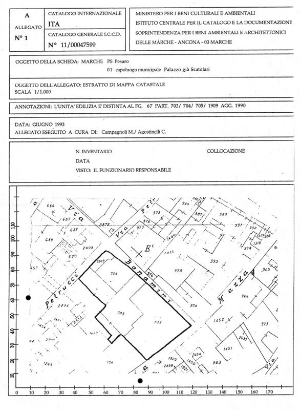
Pesaro (PU); Via Petrucci, 25/ 27/ 35(P)
Condizioni d'uso della risorsa digitale:
Quest'opera di Regione Marche è distribuita con Licenza Diritti riservati.
Oggetti digitali
Riferimenti
È riferito da:
Documentazione fotografica: 1 (SBAA AN 62729)
Fonte dati
Regione Marche / Beni Architettonici
Identificatore:
Codice univoco ICCD: 1100047599
Diritti
Diritti: proprietà Ente locale
Condizioni d’uso del metadato: Pubblico dominio