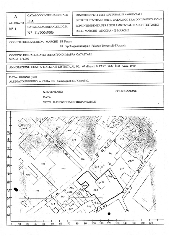
Palazzo Tomassoli d'Ascanio
costruzione
Tipo:
image; palazzo
Tipo di scheda: Architettura
Categoria:
Abitazioni
Autore:
Ambito culturale: maestranze locali
intero bene:
Data di creazione:
XIV
Ambito geografico:
Pesaro (PU); Via Mazza, 47/ 49(P)/ 51
Condizioni d'uso della risorsa digitale:
![]()
Quest'opera di Regione Marche è distribuita con Licenza Diritti riservati.
Oggetti digitali
Riferimenti
È riferito da:
Documentazione fotografica: 1 (SBAA AN 62736)
Fonte dati
Regione Marche / Beni Architettonici
Identificatore:
Codice univoco ICCD: 1100047606
Diritti
Diritti: non accertabile
Condizioni d’uso del metadato: Pubblico dominio
