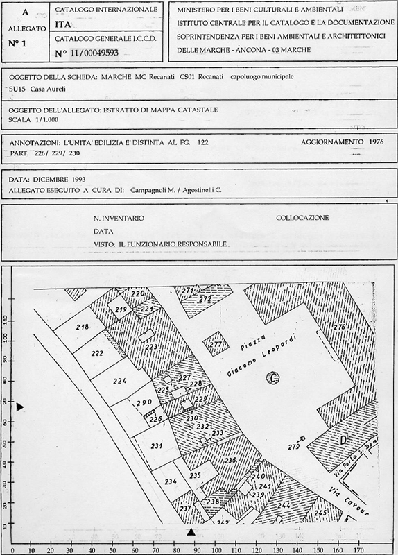
Casa Aureli
impianto
ristrutturazione
Tipo:
image; casa
Tipo di scheda: Architettura
Categoria:
Abitazioni
Autore:
Ambito culturale: maestranze locali - motivazione dell'attribuzione: B 00000495
intero bene:probabile costruzione ottocentesca
intero bene:ristrutturazione con rifacimento facciata all'inizio del '900
Data di creazione:
XIX; XX
Ambito geografico:
Recanati (MC); Piazza Giacomo Leopardi, senza numero
Condizioni d'uso della risorsa digitale:
![]()
Quest'opera di Regione Marche è distribuita con Licenza Diritti riservati.
Oggetti digitali
Riferimenti
È riferito da:
Documentazione fotografica: 2 (SBAA AN 71354)
Fonte dati
Regione Marche / Beni Architettonici
Identificatore:
Codice univoco ICCD: 1100049593
Diritti
Diritti: proprietà privata
Condizioni d’uso del metadato: Pubblico dominio